La Coordinación Estatal de Protección Civil Chihuahua (CEPC), llevó a cabo la reunión informativa de organización sobre el operativo San Judas 2023 a la que acudieron...
El pasado fin de semana los Burros Blancos se enfrentaron a los Borregos de Monterrey en el sexto juego de la Organización Nacional Estudiantil de Futbol...
“La detección temprana, el diagnóstico adecuado y el tratamiento oportuno son claves para que las mujeres con cáncer de mama obtengan mejores resultados de salud.” El...
Redactado por: Psicóloga Violeta Gutiérrez Ser un buen líder implica contar con una serie de características. Un buen líder es una persona que influye en los...
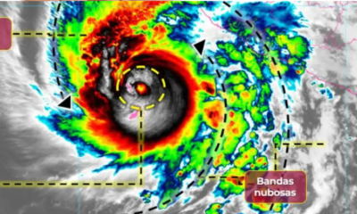
El huracán Norma se intensificó a categoría 3 en la escala Saffir-Simpson, informó el Servicio Meteorológico Nacional (SMN). En su pronóstico general, el SMN indicó a...
El Sindicato de Trabajadores del Poder Judicial de la Federación (STPJF) anunció un paro nacional en protesta por la eliminación de 13 fideicomisos, que ascienden a...
Respaldado por la sociedad deliciense a través de asociaciones civiles, religiosas, clubes deportivos, organismos empresariales y agrupaciones de todo tipo, el diputado Roberto Carreón presentó la...
Saúl Mireles Corral, sub-coordinador del grupo parlamentario del PAN, reiteró el apoyo al diputado Roberto Carreón. De igual manera, agradeció la invitación a Roberto Marcelino Carreón...
Esta tarde en la presentación del informe de actividades, el diputado Roberto Carreón renovó su compromiso con los habitantes del Distrito 19 para seguir atendiendo sus...
El objetivo es crear conciencia acerca de la autoexploración La Instancia de la Mujer de San Francisco de Conchos convocan a la comunidad en general a...